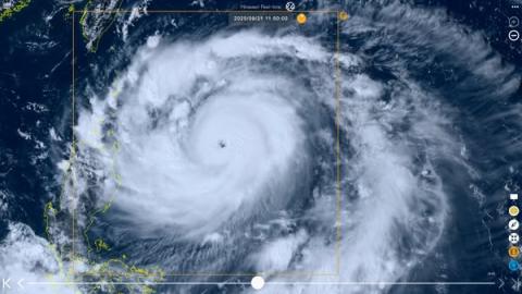
စူပါတိုင်ဖွန်းမုန်တိုင်း - အချင်းမိုင် ၇၃၆ မိုင် အကြွင်းအကျန်များဝင်ရောက်လာချိန် အထူးသတိထားရန်⭕⭕‼️‼️
Weather Station Track အရလည်း ကုန်းတွင်းလေဖိအားနည်းရပ်ဝန်းနဲ့ မုန်တိုင်းအကြွင်းအကျန်လမ်းကြောင်းအောက်ဘက်ကို ကျမှာ သေချာသလောက်ရှိနေပြီဖြစ်တဲ့အတွက် -
ကရင်ပြည်နယ်၊ မွန်ပြည်နယ်၊ ပဲခူးတိုင်း၊ ရန်ကုန်တိုင်း၊ ဧရာဝတီတိုင်းတွေမှာ စူပါတိုင်ဖွန်း RAGASA သက်ရောက်မှု အများဆုံးဖြစ်နိုင်မည့်အခြေအနေ သေချာသလောက်ရှိနေပြီဖြစ်ပါတယ်။
မုန်တိုင်းတိုက်ရိုက်ဝင်တိုက်နှိုင်မှာမဟုတ်သော်လည်း အနိမ့်ပိုင်းဒေသတွေက ရပ်ကွက်/မြို့နယ်/ခရိုင်တွေမှာ ရုတ်တရက်ရေကြီးခြင်း၊ မြစ်ရေ/ချောင်းရေကြီးနိုင်ခြင်း(River Flood- Flash Flood- Surface Flood) နှင့် တောင်ထူထပ်တဲ့ဒေသတွေမှာ မြေပြို-တောင်ပြိုနိုင်ခြင်း(Landslide) ဖြစ်ပေါ်နိုင်ခြင်းများအပြင်၊
စူပါတိုင်ဖွန်းမုန်တိုင်းအရွယ်အစားက ဒီနေ့ SATCON မှ နောက်ဆုံးရတဲ့အချက်အလက်တွေအရ အချင်းမိုင် ၇၃၆ မိုင်ရှိနေတဲ့အတွက် မုန်တိုင်းအကြွင်းအကျန်များ ဝင်ရောက်လာချိန်မှာ အထူးသတိထားကြရမှာဖြစ်ကြောင်း ကြိုတင်ပြင်ဆင်နိုင်ကြပါရန် အသိပေးတင်ပြလိုပါတယ်။
(စက်တင်ဘာလ ၂၁ ရက် - ညနေ ၃ နာရီ ၂၀ မိနစ်)
ပြည်နယ်တိုင်းမြို့များ၏ ၄ ရက် မိုးလေဝသအခြေအနေ ကြိုတင်ခန့်မှန်းချက်များကြည့်ရန် -
https://disasterinfo.mmweather.org/divisionTownPage
https://www.mmweather.org/divisional-cities-weather
Source: Sayar U Win Naing
-----
မိုးလေဝသအဖွဲ့ဝင်ရန် - https://htwettoe.com/organization/12
သီးနှံပေါက်စျေးနှင့် တိုင်းဒေသကြီးအလိုက် ပေါက်စျေးကြည့်ရှုလိုပါက_ https://htwettoe.com/market မှာ ကြည့်ရှုနိုင်သလို
ထွက်တိုး ဖုန်းဆော့ဝဲ _ https://www.htwettoe.com/download မှာ ကြည့်ရှုနိုင်ပါတယ်.
သီးနှံပေါက်စျေးကြည့်ရှုနည်း_ https://htwettoe.com/post/50437




ပင်မစာမျက်နာ
အဖွဲ့များ
စူးစမ်းရန်
စာတို
ကျွန်ုပ်
စျေးနှုန်း